click to enable zoom
loading...
We didn't find any results
open map
View Roadmap Satellite Hybrid Terrain My Location Fullscreen Prev Next


LOADING

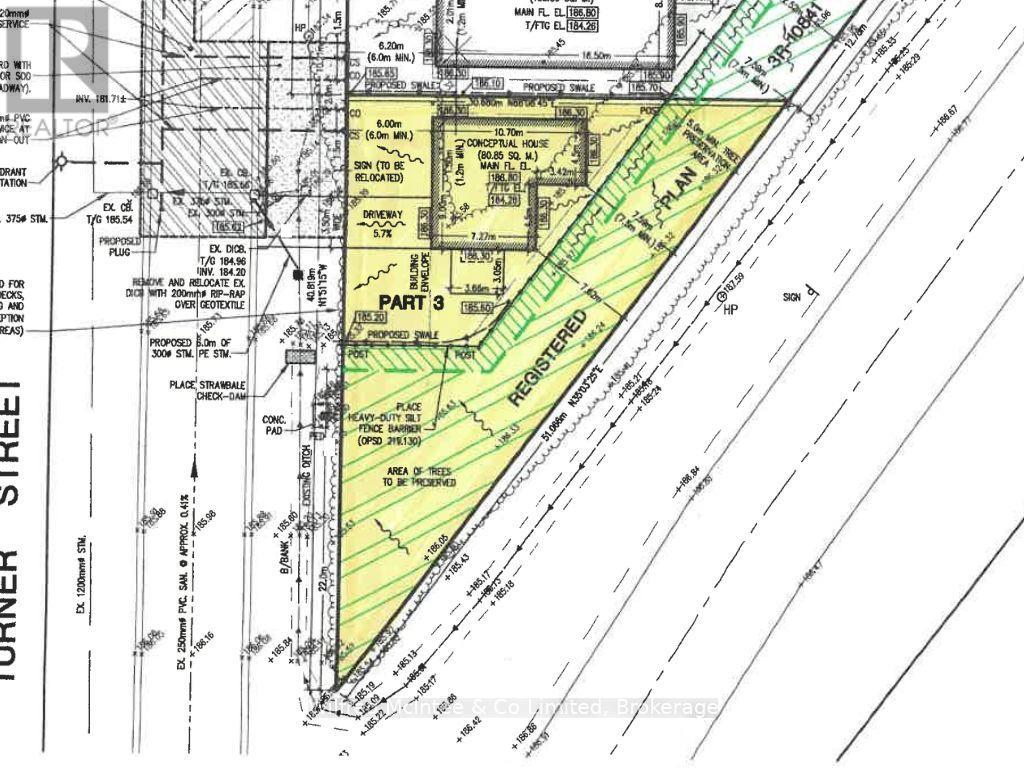
Part 3 Plan 3r-10841 Turner Street Saugeen Shores, Ontario N0H 2L0

$175,000

Affordable lot in Southampton's sought-after north end: a fully serviced vacant building lot ready for your single-family home or cozy cottage. Just a short walk to Lake Huron access, this location places you within a few minutes of the grocery store, golf course, boat launch, the scenic Saugeen River, and just a short distance away to Southampton's pristine sand beach, and the charming downtown with its boutique shops and dining. This unique triangular parcel offers 133ft of frontage along Turner Street and a north boundary depth of 100.65ft. The proposed building envelope is perfectly suited for a compact, energy-efficient home or 4 season cottage with an overall footprint of 870sq ft, with the potential to add square footage with a 2nd storey. A thoughtful tree retention plan along the back boundary ensures lasting privacy and natural ambiance. Water, sewer, natural gas, and hydro are available at the roadside. Priced for outstanding value, this lot invites you to create that lakeside retreat you've always wanted. (id:13139)

Property Details

MLS® Number X12547480
Property Type Vacant Land
Community Name Saugeen Shores
AmenitiesNearBy Hospital, Schools
CommunityFeatures School Bus
Features Irregular Lot Size, Partially Cleared, Level

Building

UtilityWater Municipal Water

Land

AccessType Year-round Access
Acreage No
LandAmenities Hospital, Schools
Sewer Sanitary Sewer
SizeDepth 100 Ft ,7 In
SizeFrontage 133 Ft ,10 In
SizeIrregular 133.9 X 100.65 Ft ; Triangle Shape. Depth Is North Lot Line.
SizeTotalText 133.9 X 100.65 Ft ; Triangle Shape. Depth Is North Lot Line.|under 1/2 Acre
ZoningDescription R1-93

Utilities

Cable Available
Electricity Available
Sewer Installed

https://www.realtor.ca/real-estate/29106266/part-3-plan-3r-10841-turner-street-saugeen-shores-saugeen-shores

Interested?

Contact us for more information


Generating Captcha

Your Favourites

 

No Favourites Found

 

Compare Listings